Teaweed Sida spinosa
Other Common Name(s):
Previously known as:
- Sida alba
- Sida alnifolia
- Sida angustifolia
- Sida heterocarpa
- Sida spinosa var. angustifolia
- Phonetic Spelling
- SEE-duh spy-NO-suh
- Description
-
Prickly Sida is a summer annual weed in the mallow family. It produces small 1/3" flowers on short stalks. Due to the stalks' short length, the flowers are typically hidden in the foliage. The light yellow or light orange petals are floppy, blooming on sunny mornings.
There is a shallow taproot that is divided into secondary roots. The plants' self-seeding can form colonies. Deadheading can help prevent self-seeding. Its seeds which are also spread by animals foraging on the leaves are quick to germinate.
A member of the mallow family, this plants appearance does not resemble other plants in the mallow family. However, the flowers produce a column of styles and anthers that will connect to the mallow family. Its blunt green spines below the petioles of the lower leaves are a characteristic that will also help with the plants' identity.
It can be found growing on sites that have been disturbed, such as abandoned open fields, roadsides, pastures, along railway tracks, and waste areas as well as open woodlands and in riparian areas.
Insects, Diseases and Other Plant Problems: Considered a weed of crops, pastures, roadsides and other disturbed areas.
- See this plant in the following landscape :
- Cultivars / Varieties:
-
- Tags:
- Cultivars / Varieties:
-
- Tags:
-
-
Attributes:
- Genus:
- Sida
- Species:
- spinosa
- Family:
- Malvaceae
- Life Cycle:
- Annual
- Perennial
- Recommended Propagation Strategy:
- Seed
- Country Or Region Of Origin:
- Native to North America, Central America, South America
- Distribution:
- AL, AR, AZ, CT, DC, DE, FL, GA, HI, IA, IL, IN, KS, KY, LA, MA, MD, ME, MI, MO, MS, NC, NE, NJ, NY, OH, OK, PA, SC, TN, TX, VA, WV
- Fire Risk Rating:
- low flammability
- Wildlife Value:
- Attractive to a variety of bees, birds, and butterflies. The leaves are eaten by some mammals.
- Play Value:
- Attracts Pollinators
- Wildlife Food Source
-
-
Whole Plant Traits:
- Plant Type:
- Annual
- Herbaceous Perennial
- Weed
- Habit/Form:
- Erect
- Growth Rate:
- Rapid
- Maintenance:
- Low
- Texture:
- Coarse
- Appendage:
- Spines
-
-
Cultural Conditions:
- Light:
- Full sun (6 or more hours of direct sunlight a day)
- Partial Shade (Direct sunlight only part of the day, 2-6 hours)
- Soil Texture:
- Clay
- Loam (Silt)
- Sand
- Soil pH:
- Acid (<6.0)
- Alkaline (>8.0)
- Neutral (6.0-8.0)
- Soil Drainage:
- Good Drainage
- Moist
- Occasionally Wet
- Available Space To Plant:
- 12 inches-3 feet
- NC Region:
- Coastal
- Mountains
- Piedmont
- USDA Plant Hardiness Zone:
- 5a, 5b, 6a, 6b, 7a, 7b, 8a, 8b, 9a, 9b, 10a, 10b
-
-
Fruit:
- Fruit Color:
- Brown/Copper
- Red/Burgundy
- Display/Harvest Time:
- Fall
- Summer
- Fruit Length:
- < 1 inch
- Fruit Width:
- < 1 inch
- Fruit Description:
- Each flower will be replaced by a reddish-brown circular seedpod that is segmented into 5 parts that will come apart. Each segment contains 1 seed.
-
-
Flowers:
- Flower Color:
- Gold/Yellow
- Orange
- White
- Flower Inflorescence:
- Solitary
- Spike
- Flower Bloom Time:
- Fall
- Summer
- Flower Shape:
- Cup
- Tubular
- Flower Petals:
- 4-5 petals/rays
- Flower Size:
- < 1 inch
- Flower Description:
- The flowers form on stalks (1/2"). Small, pedicillate flowers with morphoogy of the Malvaceae, including a column of stamens wrapped around the style.
-
-
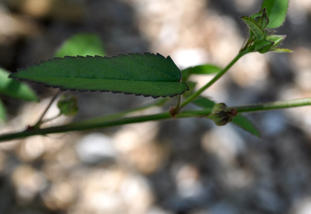
Leaves:
- Leaf Color:
- Green
- Leaf Type:
- Simple
- Leaf Arrangement:
- Alternate
- Leaf Shape:
- Cordate
- Lanceolate
- Oblong
- Ovate
- Leaf Margin:
- Crenate
- Serrate
- Hairs Present:
- Yes
- Leaf Length:
- 1-3 inches
- Leaf Width:
- < 1 inch
- Leaf Description:
- Some of the lower leaves have a blunt spine below the base of their petioles.
-
-
Stem:
- Stem Color:
- Green
- Stem Is Aromatic:
- No
- Stem Buds:
- Hairy
- Stem Cross Section:
- Round
- Stem Surface:
- Hairy (pubescent)
- Stem Description:
- The stems are covered with fine white hairs. Erect stem with alternate leaves and axillary flowers
-
-
Landscape:
- Problems:
- Weedy
