Indian Quassiawood Picrasma quassioides
Previously known as:
- Picrasma ailanthoides
- Phonetic Spelling
- pik-rass-ma kwash-ee-OY-deez
- Description
-
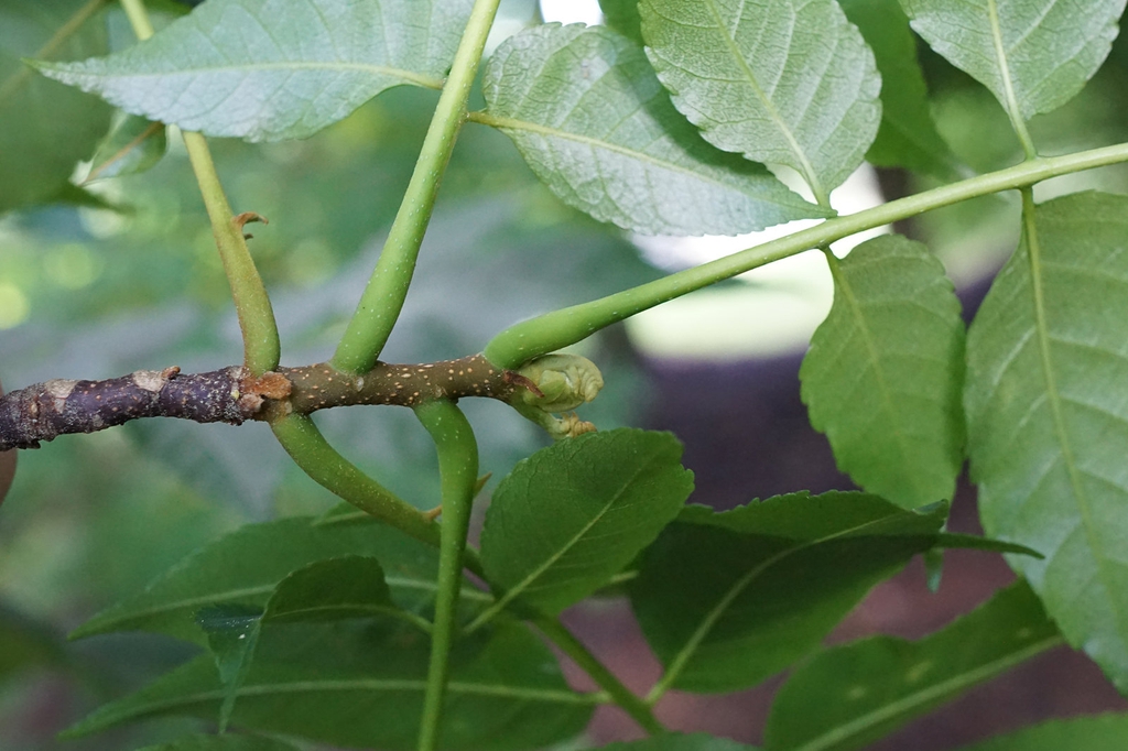
Indian Quassiawood is a deciduous tree or shrub native to southern Asia in the Quassia family. It grows 30 to 50 feet tall with a spread of 20 to 25 feet. In spring, 3-6 inch cymes of small green to yellow-green flowers appear that are followed by clusters of red to black berry-like drupes in fall. Fall leaf color is a bright yellow to orange to red.
This tree prefers moist well-drained soils in sun to partial shade and is adaptable to both sandy and clay loams. Use as a small shade tree or as a specimen for the attractive foliage, drupes and fall color.
- See this plant in the following landscape:
- Cultivars / Varieties:
-
- Tags:
- Cultivars / Varieties:
-
- Tags:
-
-
Attributes:
- Genus:
- Picrasma
- Species:
- ailanthoides
- Family:
- Simaroubaceae
- Uses (Ethnobotany):
- An extracted from the bark and used as a substitute for hops in beer making. Bark or wood used to make an insecticide.
- Life Cycle:
- Woody
- Country Or Region Of Origin:
- China, Japan, Korea
- Edibility:
- buds used to make tea
- Dimensions:
- Height: 30 ft. 0 in. - 50 ft. 0 in.
- Width: 20 ft. 0 in. - 25 ft. 0 in.
-
-
Whole Plant Traits:
- Plant Type:
- Shrub
- Tree
- Woody Plant Leaf Characteristics:
- Deciduous
- Habit/Form:
- Rounded
-
-
Cultural Conditions:
- Light:
- Full sun (6 or more hours of direct sunlight a day)
- Soil Texture:
- Clay
- Loam (Silt)
- Sand
- Soil Drainage:
- Good Drainage
- NC Region:
- Coastal
- Mountains
- Piedmont
- USDA Plant Hardiness Zone:
- 6a, 6b, 7a, 7b, 8a, 8b, 9a, 9b
-
-
Fruit:
- Fruit Color:
- Red/Burgundy
- Display/Harvest Time:
- Fall
- Fruit Type:
- Drupe
- Fruit Description:
- Red pea shaped fruit
-
-
Flowers:
- Flower Color:
- Green
- Flower Inflorescence:
- Cyme
- Flower Bloom Time:
- Spring
- Flower Petals:
- 7 - 20 petals/rays
- Flower Size:
- > 6 inches
- Flower Description:
- Yellow-green flowers with 4-5 petals in 3-6 inch long cymes in May
-
-
Leaves:
- Woody Plant Leaf Characteristics:
- Deciduous
- Leaf Color:
- Gold/Yellow
- Orange
- Leaf Value To Gardener:
- Showy
- Deciduous Leaf Fall Color:
- Orange
- Red/Burgundy
- Leaf Type:
- Compound (Pinnately , Bipinnately, Palmately)
- Leaf Arrangement:
- Alternate
- Hairs Present:
- No
- Leaf Width:
- > 6 inches
- Leaf Description:
- Compound leaves with 7-15 leaflets, margins irregularly toothed. 1-4 inches long by .5-1.5 inches wide. Orange/Red/yellow fall color
-
-
Bark:
- Bark Description:
- Smooth dark grey-brown bark
-
-
Stem:
- Stem Is Aromatic:
- No
-
-
Landscape:
- Landscape Location:
- Lawn
- Landscape Theme:
- Asian Garden
- Design Feature:
- Shade Tree
- Specimen
